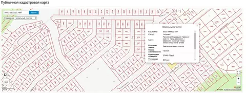
Россия, Пермский край, Бобки, Центральная улица

Реализация объекта недвижимости приостановлена

Информация об участке

8.0 cоток
Площадь участка
Развернуть

Участок в Пермский край, Добрянский муниципальный округ, д. Бобки ул. ...

Код объекта: 1646795. В продаже шикарный, ровный земельный участок, правильной формы, рядом дорога из щебня 8 соток земли Инфраструктура: дорога к участку подсыпана, рядом идёт электричество, есть постоянно живущие соседи, 15 минут пешком до автобусной остановки, ходит электричка.В посёлке есть: Озон и ВБ, продуктовый магазин, строительный, на въезде с трассы есть пятёрочка. по соседству деревня Гари в которой есть школа и медпункт.Кадастровый номер: 59:18:3630201:591

Читать полностью

    Реализация объекта недвижимости приостановлена

    Не нашли подходящего объявления?

    Оставьте заявку, и наши риэлторы подберут земельный участок в районе

    (0)